私の標本箱から (43)
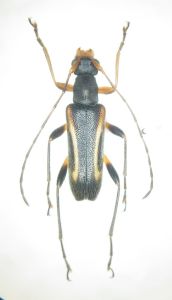
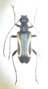
セスジヒメハナカミキリ(Cryptopidonia amentata )♂♀ 高知県土佐清水市今ノ山 17.ⅴ.2020昨年8月にむし社から出た、図説「日本のヒメハナカミキリ」をご覧になった方の中には、よく見慣れたセスジヒメハナの図版を見て驚かれた方もいらっしゃったのではないだろうか!?その標本とは、Pl44・37-16、及びPl45・37-36の♂♀個体であり、私など初めてそれを見せられた時には、その余りの黒さにちょっとした衝撃を受けたものだ。
これらが採集されたのは高知県土佐清水市の今ノ山(標高868m)。何と!かの地は私の故郷。お膝元とも言えるこんなところから突然現れた異端児に、高知県出身の私としては驚きを禁じ得なかった、というのが正直なところである。元来ピドニアは斑紋変異の多いグループであり、むろんセスジヒメハナも例にもれず、例えば東海エリアの一部では斑紋黒色部に拡大傾向があること等は認識していたものの、さすがにここまで黒化の進んだ個体群に出会ったのは初めてのことであった。
かくして、虫友H氏のご厚意で入手した今ノ山産2♂2♀はいずれも上記写真のような個体で、丁度同産地産のPl44・37-15~16、及びPl45・37-35~36両個体(夫々かの地における通常タイプと黒化タイプ)の中間の様相を呈している。そこで、改めて黒化型の斑紋特徴をチェックしてみると、他地域産に比べ♂♀共にIm紋が縦長に伸長し、明瞭なA紋との隙間が非常に狭くなっている上に、S紋がより太く発達することでIm紋との隙間も狭くなり、更に発達したS紋は上翅上方に向かって大きく拡がり肩部を覆うことで上翅基部の4分の1が真っ黒になる等、結果として上翅に占める黒色部の割合が非常に高くなってしまっていることが見て取れる。かの地は四国西南端に位置し、北方に拡がる四国山地とは中村~宿毛間の中筋川低地で隔てられており、四国山地本体からの分離後、長い年月をかけて徐々に変異した(しつつある)個体群と言えそうだ。
ピドニア愛好家にとってこんな面白い個体群は大歓迎だし、他にも人知れずどこかで特異な個体群がひっそりと息づいていたら楽しいのになぁ~・・・と、勝手なことを思う今日この頃である(苦笑)。
