ピドニアの世界へようこそ

私の標本箱から (番外編)・・・これは何モノ!?

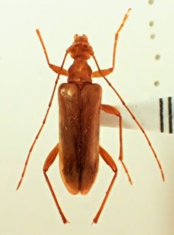
Pidonia sp. ♀ 体長12㎜ 大分県九重連山産 (窪木幹夫氏提供)







このピドニアは半世紀も前、九重連山のどこかの山で採集された。ラベルの筆跡は、標本所有者のそれとは異なる。ラベルの筆跡から記入者、さらに採集者に辿りつけないものだろうか・・・。

どんなことでもけっこうです。是非情報をお寄せください。

<< 前のページに戻る

↑ PAGE TOP