岐阜県高山市奥飛騨温泉郷平湯峠 alt.1,400~1,600m 21-22.ⅶ.2009
この頃、毎年夏季に行っていたピドコメツアー(ピドニアとコメツキ採集を目的とした数日間の採集ツアー)の一環で、かの安房峠を訪れた際に初めて立ち寄った地。
あいにく当日は朝から雨模様で、この日の出発地である松本市内のホテルで時間をつぶしつつも、チェックアウト時間に迫られ、やむなく重い腰を上げて国道158号を西進する。やがて気分も乗らぬまま安房峠に至る旧道に差し掛かり、小降りになった間隙を縫いながらネットを濡らしつつ先に進むが、基本この時間帯は本降りの雨模様で、とてもじゃないがじっくり腰を据えて採集を楽しむような気分にはなれない。
実はこの日は岐阜県側の奥飛騨温泉郷に宿泊の予定であったが、天候不良で急ぎ安房峠を通過してしまい、余した時間を埋めるべく投宿前に立ち寄ってみたのが、ここ平湯峠であった。幸いにもこの頃には何とか雨も小降りになり、全山びしょ濡れながらも、さすがに安房峠の近傍だけあって各種花上から思った以上に多種多様なピドニアとの遭遇が叶い、逃げ出すように通過してきた安房峠での不作分をしっかりこの地で挽回、とりわけ安房峠では見ることのできないイヨヒメハナは、ちょっぴり意外な成果で嬉しく思ったような次第。



天気の回復した翌日、前日の成果に気を良くして再度朝からこの地を訪れ、概ね前日同様の成果を得て、この地に対する好印象を胸に、次なる訪問地へとツアーは続くのであった。
余談ながら、22日には国内46年ぶりとなる皆既日食が各地で観察され、丁度平湯峠での採集中に、真っ昼間にして一時的に暗闇に包まれるという貴重な経験もさせていただけた。
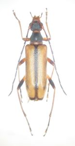
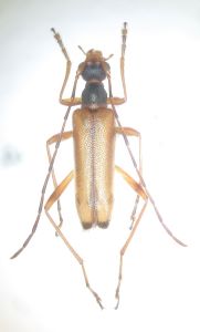
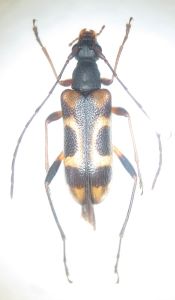
2009年7月21-22日の遭遇種(今回よりピドニア図説による属名変更等に対応します)
・ナガバヒメハナ Pseudopidonia signifera
・ホソガタヒメハナ P.semiobscura
・ヤノヒメハナ P.chairo (旧himehana)
・シンシュウヒメハナ P.hayakawai
・ミヤマヒメハナ P.sylvicola
・マツシタヒメハナ P.matsushitai
・オオバヤシヒメハナ P.limbaticollis ohbayashii
・ツマグロヒメハナ P.maculithorax
・アサマヒメハナ P.trilineata (旧takechii)
・ミセンヒメハナ P.misenina
・キベリクロヒメハナ P.discoidalis
・ヨコモンヒメハナ Cryptopidonia insuturata
・イヨヒメハナ C.hylophila
・ニセヨコモンヒメハナ C.kaguyahime (旧simillima)
・ムネアカヨコモンヒメハナ C.masakii
・ミワヒメハナ C.miwai
この日は未採集ながら、別の機会に同地で確認できた種
・ブービエヒメハナ P.bouvieri
・オオヒメハナ P.grallatrix
・オヤマヒメハナ Paleopidonia oyamae
・セスジヒメハナ C.amentata
・チャイロヒメハナ Mumon aegrota
・フタオビノミハナ Omphalodera flaviventris (旧puziloi)
